Loading...
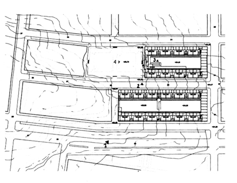
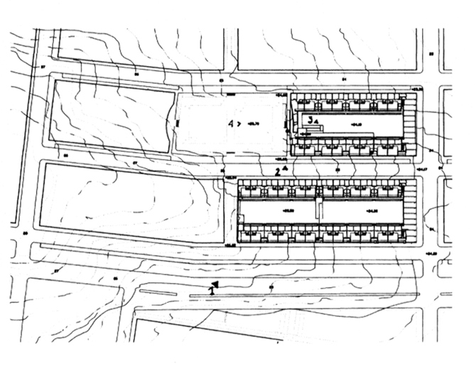
El proyecto debía prever el desarrollo de un conjunto de 44 viviendas unifamiliares adosadas, en régimen especial de protección oficial. Proponemos modificar la concepción convencional de ciudad, que jerarquiza y prioriza, en un lugar como este, parámetros tales como fachadas, alturas, o alineaciones, frente a condicionantes de otro carácter, como los geográficos, la orientación y el asoleo.
De acuerdo con las trazas del viario preexistente, se proponen dos manzanas de planta sensiblemente rectangular, abiertas por uno de sus testeros extremos, mostrando en la medida de lo posible los patios de manzana hacia el exterior. Se recupera de ese modo la tradición mediterránea de espacios filtro, a partir de la comprensión de estos patios de manzana como ámbitos intermedios en los que se crean circulaciones de ingreso al interior de las viviendas.
General information
44 viviendas VPO en Santiponce
YEAR
Option to visit
Address
C/ la Almendra,
41970 Santiponce - Sevilla
Latitude: 37.434345162
Longitude: -6.042769397
Classification
Built area
Involved architectural firms
Information provided by
MGM Morales de Giles Arquitectos
-
MGM Morales de Giles Arquitectos -
II BIAU -
MGM Morales de Giles Arquitectos -
MGM Morales de Giles Arquitectos
Location
https://content.gnoss.ws/carq/https://content.gnoss.ws/carq//imagenes/Documentos/imgsem/57/57bd/57bd1cab-95b1-4ccd-a1a0-ec653439ff2c/20d26bca-6184-4263-bd7c-be589d6966cd.jpg, 0000003077/Santiponce.jpg
https://content.gnoss.ws/carq/https://content.gnoss.ws/carq//imagenes/Documentos/imgsem/57/57bd/57bd1cab-95b1-4ccd-a1a0-ec653439ff2c/7f50353e-f765-4993-bb2a-535cbfb50b4f.jpg, 0000003077/584-03.jpg
https://content.gnoss.ws/carq/https://content.gnoss.ws/carq//imagenes/Documentos/imgsem/57/57bd/57bd1cab-95b1-4ccd-a1a0-ec653439ff2c/0c95c842-0ee6-428a-b4ac-1f17c1e81784.jpg, 0000003077/584-10.jpg
https://content.gnoss.ws/carq/https://content.gnoss.ws/carq//imagenes/Documentos/imgsem/57/57bd/57bd1cab-95b1-4ccd-a1a0-ec653439ff2c/cbe12d3a-14f6-4ac1-8f7e-94aa1333ba5f.jpg, 0000003077/584-12.jpg
https://content.gnoss.ws/carq/https://content.gnoss.ws/carq//imagenes/Documentos/imgsem/57/57bd/57bd1cab-95b1-4ccd-a1a0-ec653439ff2c/4daeb83c-7511-41e0-b6e4-2c045808b3d1.jpg, 0000003077/584-20.jpg
https://content.gnoss.ws/carq//imagenes/Documentos/imgsem/57/57bd/57bd1cab-95b1-4ccd-a1a0-ec653439ff2c/d5080793-fca1-4789-91d4-e070894b2cf1.jpg, 0000003077/44 VIVIENDAS VPO EN SANTIPONCE p1.jpg






