Cargando...
La Ronda del Litoral de Barcelona, al pasar por los barrios del Bon Pastor y del Baró de Viver, queda cubierta por dos losas de hormigón armado que recuperan el espacio ocupado por el cinturón. Para ser utilizadas y equipadas, fueron objeto de un plan de acondicionamiento que se completa con el diseño de elementos de mobiliario urbano. La configuración general de cada losa tenía que adaptarse a tres direcciones principales: la trama urbana de los barrios, la ronda de Barcelona y el río Besós.
Las partes más visibles, o sea, las pérgolas, el frontón, las pistas de tenis y los edificios se adaptan a las directrices del río. Las jardineras escalonadas y las escalinatas de acceso son paralelas a la trama urbana, mientras que la distancia variable entre pilares de soporte de las losas se adapta al trazado del cinturón. Las losas quedan abiertas por el lado del río para iluminar el cinturón. Están perforadas con una secuencia de aberturas que, además de la iluminación natural, dejan pasar las grandes palmeras del paseo superior. El conjunto puede interpretarse como una fachada de la ciudad o como frente fluvial, con dos puntos de referencia urbana que son las pérgolas y un gran paseo mirador o balcón al río. La cubierta de las pérgolas está tratada como un umbráculo de grandes dimensiones. Tiene dos láminas superpuestas, la superior, prácticamente horizontal, es una celosía de pasamanos que matiza el paso del sol. La inferior, curvada hacia el rio y hacia la ciudad, asegura la impermeabilidad.
Las aguas se recogen en forma de cascada en el interior a través de un gran canalón que también actúa como soporte de los focos de iluminación. La superposición de dos láminas hace de difusor de la luz, como si se tratase de una nube, y consigue calidades variables según los diferentes ángulos. Las cerchas se sitúan entre las dos láminas. La inferior va apoyada sobre los cordones inferiores tapando la estructura y queda separada de los pilares. Por este motivo parece que flote contribuyendo de este modo a la ligereza del aspecto general. Es un modelo de pérgola-umbráculo que podría utilizarse para proteger los espacios públicos en climas cálidos y obtener así iluminación cenital y control solar.
Información general
Equipamiento de las losas sobre la Ronda del Litoral
AÑO
Opción de visitas
Dirección
p.º de Guayaquil, s/n
08030 Barcelona - Barcelona
Latitud: 41.445048102
Longitud: 2.2049102131
Clasificación
Materiales construcción
Sistema constructivo
Vigas en celosía sobre pilares cilíndricos
Superficie construida
Estudios de arquitectura participantes
Información aportada por
Josep Ignasi de Llorens Duran
-
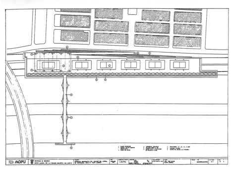
Planta - Llorens & Soldevila, Arquitectos -
La losa cubierta recupera el espacio ocupado por la Ronda del Litoral que separaría el barrio del Bon Pastor del río Besós - Llorens & Soldevila, Arquitectos
Ubicación
https://content.gnoss.ws/carq/https://content.gnoss.ws/carq//imagenes/Documentos/imgsem/41/410b/410b3d09-a4af-40cd-a855-d33686f7f23b/7e9a86b1-95d4-4f16-bf7d-b1cf4f91d082.jpg, 0000026283/EQUIPAMENT_LLOSES_004.jpg
https://content.gnoss.ws/carq/https://content.gnoss.ws/carq//imagenes/Documentos/imgsem/41/410b/410b3d09-a4af-40cd-a855-d33686f7f23b/553b6a5c-1852-4740-9b3d-e28a3d25bb82.jpg, 0000026283/EQUIPAMENT_LLOSES_001.jpg
https://content.gnoss.ws/carq/https://content.gnoss.ws/carq//imagenes/Documentos/imgsem/41/410b/410b3d09-a4af-40cd-a855-d33686f7f23b/83b4a922-6e85-451d-9917-6f28dfd5cece.jpg, 0000026283/P1140998.jpg
https://content.gnoss.ws/carq/https://content.gnoss.ws/carq//imagenes/Documentos/imgsem/41/410b/410b3d09-a4af-40cd-a855-d33686f7f23b/3fb9f244-b8cc-4ee7-8e15-e9cdda67e102.jpg, 0000026283/P1150862.jpg
https://content.gnoss.ws/carq/https://content.gnoss.ws/carq//imagenes/Documentos/imgsem/41/410b/410b3d09-a4af-40cd-a855-d33686f7f23b/da2ffd63-6f1b-45a2-bef3-bf8dea5d5f50.jpg, 0000026283/P1140997.jpg
https://content.gnoss.ws/carq//imagenes/Documentos/imgsem/41/410b/410b3d09-a4af-40cd-a855-d33686f7f23b/c6fcd5c8-12a0-4706-b33c-7b76582516c7.jpg, 0000026283/ESTRUCTURA_007.jpg
https://content.gnoss.ws/carq//imagenes/Documentos/imgsem/41/410b/410b3d09-a4af-40cd-a855-d33686f7f23b/d86fe6e6-4738-481f-b51e-98fa42db64c4.jpg, 0000026283/PLANTA_006.jpg
https://content.gnoss.ws/carq//imagenes/Documentos/imgsem/41/410b/410b3d09-a4af-40cd-a855-d33686f7f23b/3d31f5f9-52a5-4159-ab73-55c6e4b2a127.jpg, 0000026283/ALZADOS_005.jpg




